Sub Properti
Jual Tanah Borobudur Magelang, View Sawah Rasa Ubud Bali
Tanah Kapling di Muria Siap Huni Rata Dan Kotak di Muria Semarang
Jual Tanah Kavling Siap Bangun Lokasi Strategis
Tanah & Bangunan pinggir jalan raya
Di Jual Tanah dan Gudang di Ciputat, Cocok untuk bangun cluster perumahan dll
Tanah Cluster Kasihan Jogja, Dekat Ring Road Umy, Padma Residence
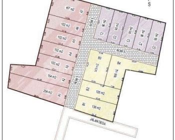
Tanah di Komplek Graha Metropolitan Helvetia
TANAH MURAH DIJUAL DI BULU SUKOHARJO DEKAT WISATA GUNUNG PEGAT
Kavling Royal Orchard, Kelapa Gading, Jakarta Utara
Lahan Murah Parung Luas 100 Meter Dekat Jl. Raya Parung
Dijual Tanah Di Jajar Laweyan Solo
Menampilkan 20230 ke 20240 dari 39711 hasil