Spesifikasi:
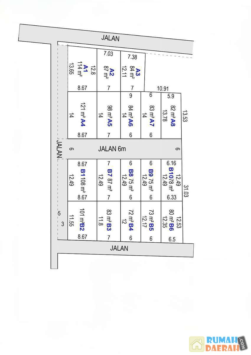
Nol Jalan Raya Utama
Akses Lebar Jalan 6 Meter
SHM Pecah Per Unit (Split)
Info seputar lokasi:
Dekat Kampus UB
Dekat Kampus Polinema
Dekat Kampus ITN 2
Dekat Gerbang Tol Malang
Luas Tanah 84m2
Harga 5 Jt/m2
Harga Total Rp 
Bisa Diangsur 12x Tanpa Bunga
| Luas Tanah | 84 M2 | 
|---|
 asfa ahmadd
            Anggota sejak 1 tahun yang lalu
            asfa ahmadd
            Anggota sejak 1 tahun yang lalu