Di Jual MURAH RUKO di KOTA WISATA CIBUBUR, RUKO SENKOM FLORENCE Dekat Tol Kota Wisata, Dekat RS EKA HOSPITAL Dekat KERAMAIAN Lokasi BOULEVARD KOTA WISATA AIR PDAM BOGOR Keamanan 24 Jam
Ruko Gandeng 2 Lantai Tipe 184 195 Murah Nego 2403asw
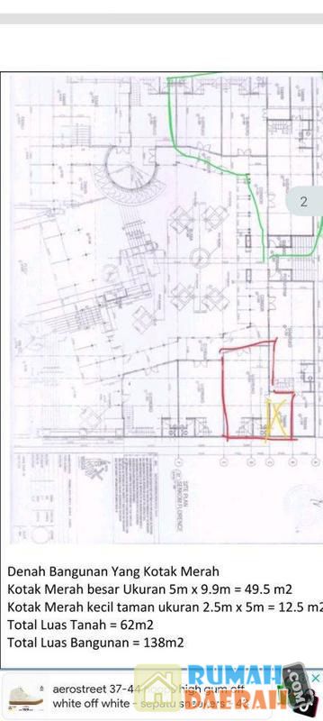
ruko 2 lantai di bogor
DI JUAL RUKO 2 LANTAI COCOK BUAT BISNIS DAN INVESTASI
RUKO GANDENG HADAP JALAN RAYA
Dijual atau di sewakan ruko gandeng 6 di Cibinong
Ruko Bagus Dan Murah Hanya 360 Jt Dekat Superindo Cikaret
Ruko Strategis di Metland Transyogie, Siap Pakai
Ruko Indomaret Beserta Tanah Di Cibungbulang Bogor Jawa Barat
Ruko Murah AhsanLake Kemang Bogor
Dijual Kios Fresh Market Di Kota Wisata
Ruko Bagus Di Jalan Raya Semplak Bogor Barat
Ruko Boulevard Dijual Sukahati Cibinong Ramai Dekat Jalan Raya
Ruko Dijual 2,5 Lt Jl. Ksr Dadi Kusmayadi Cibinong Bogor
Dijual ruko siap huni di Cikaret Cibinong Bogor
RUKO 3 LANTAI LETAK STRATEGIS
dijual ruko 2lantai lokasi strategis di jalan baru kemang bogor
Ruko Dan Rumah Di Perumahan Green Garden Kalisuren 10 Menit Ke Rencana Pintu Tol
Ruko Depok Baru di Gaperi
Ruko 1 Lantai Murah Hanya 360 Jt Dekat Setu Cikaret Bogor
Jual ruko Cantik Bagus di jl Raya Semplak Bogor
DIJUAL RUKO 2 LANTAI DEKAT JALAN RAYA DAN STASIUN BOJONGGEDE