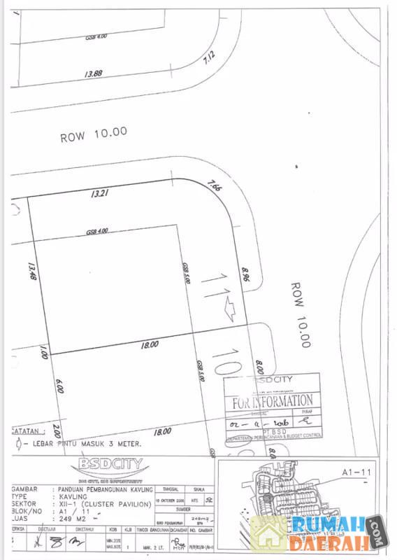
Kavling Siap Bangun !!!Kencana loka (Sektor XII.1)Cluster Pavilion Residence(Seberang De Latinos)Blok A1/11BSD CityKav Hook (Kotak)LT 249 m2 ( 13,5 x 18 )GSB Depan 5 mGSB Samping 4 mOrientasi :Depan Hadap TimurSamping Hadap UtaraCluster Pavilion ResidenceCluster StrategisKeluar Cluster langsung jalan utamaSelangkah menuju Station KRL Rawa BuntuCluster terdekat pintu Keluar Masuk TOLHarga 9 jt/m2 NegoSurat PPJB
| Luas Tanah | 249 M2 | 
|---|
 Ayu Putri
            Anggota sejak 1 tahun yang lalu
            Ayu Putri
            Anggota sejak 1 tahun yang lalu