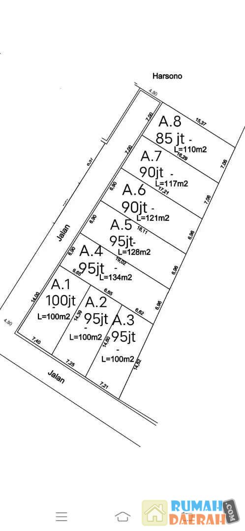
Monggo kavling murah Siap Bangun Bejen Karanganyar kota Luas 110 Meter Ld 7 Meter Legalitas SHM Aman Padat penduduk, Deket Fasum Kecamatan, SMA 2 , Puskesmas terminal, pasar Harga 85 Juta Atas Nama Pembeli
Jual Tanah Bejen Karanganyar
Jual Tanah Karanganyar kota
Tanah Jungke, Selatan Alun2 Karanganyar Kota
Selatan alun alun karanganyar
Tanah strategis pinggir jalan lawu arah ke tawangmangu
Jual Tanah Jumantono Karanganyar
Tanah murah strategis pusat kota
Tanah Prospek Bagus di Karanganyar
DIJUAL CEPAT TANAH DIDEPAN RM CANDISARI KARANGANYAR - KEBUMEN
Dijual lahan industri luas 1.8 ha lokasi gondangrejo
Jual Tanah Dekat Kantor Kecamatan jumantono
Dijual Tanah Dijalan DPU tegalasri Karanganyar
Tanah cocok untuk usaha kost
Sell Tanah: Strategis tanah kota
Dijual Lahan Murah Lias 3100m Zona Kuning Lokasi Karanganyar
Jual Tanah Mojogedang
TANAH SIAP BANGUN DI CANGAKAN KARANGANYAR KOTA
TANAH SAWAH ZONA KUNING DI JLN MOJO TASIKMADU KARANGANYAR
TANAH SAWAH DI JLN RAYA LAWU POPONGAN KARANGANYAR
JUAL TANAH PLUS RUMAH LUAS PLESUNGAN GONDANGREJO MOJOSONGO SIAP BANGUN