thumbnail-dijual-tanah-di-ciruas-serang-banten-pinggir-jalan-raya-utama-0
thumbnail-dijual-tanah-di-ciruas-serang-banten-pinggir-jalan-raya-utama-1
thumbnail-dijual-tanah-di-ciruas-serang-banten-pinggir-jalan-raya-utama-2
thumbnail-dijual-tanah-di-ciruas-serang-banten-pinggir-jalan-raya-utama-3

Dijual Tanah di Ciruas Serang Banten Pinggir jalan Raya Utama

Diperbarui pada 11 Januari 2024 oleh yen yen theresia
Rp. 80 miliar

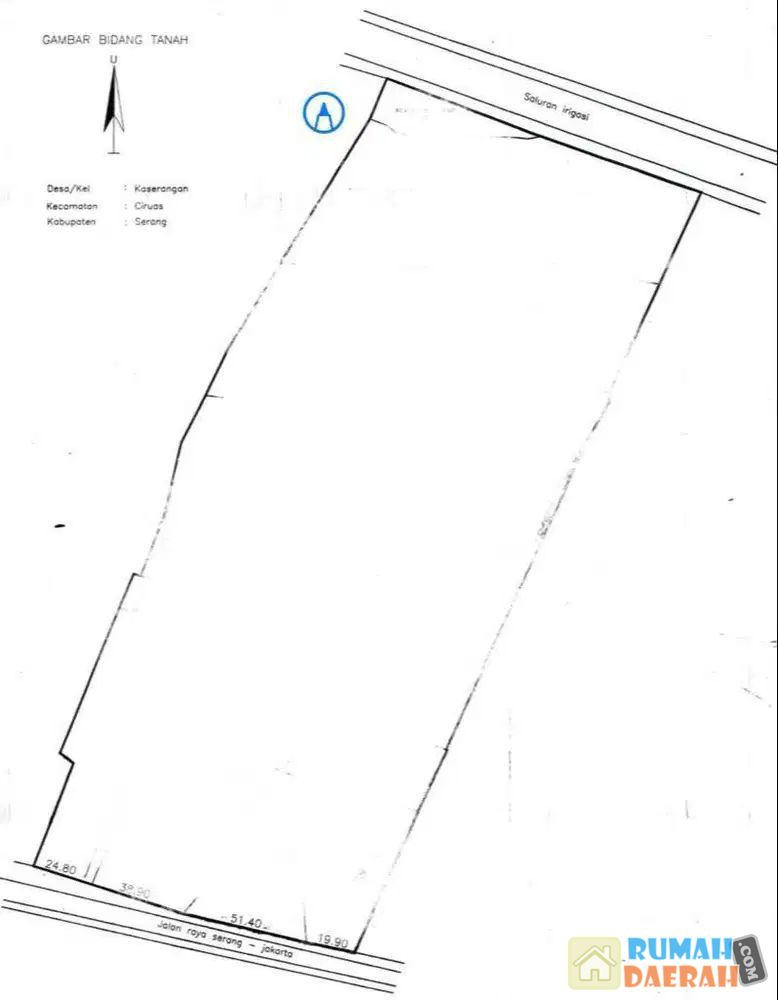
DIJUAL TANAH DI CIRUAS, SERANG - BANTEN
Lokasi : Ciruas - Serang Banten
Spec :
Luas Tanah m² | 5 Ha
SHGB
Bentuk Tanah Bagus
Lokasi Strategis dekat Pintu Toll
Pinggir Jalan Raya Utama
Bisa Untuk Pabrik & Komersil, RS, Sekolah, Universitas, dsb
Akses Kendaraan Besar
Price Rp. 1,6 Juta / m² Exc PPN - Negotiable
Terima Titip Jual Beli Properti
Dan Menyediakan Lahan Industri Seluruh Indonesia Untuk Perusahaan Lokal & Asing ( Only Buyer Valid )
HH
KAguzpik


Spesifikasi

Luas Tanah 50000 M2

Loading...

Data Kunjungan & Kontak 7 Hari Terakhir

Properti Terkait

Druhomes
© 2026 by RumahDaerah | Halaman dimuat dalam: 0.047 detik